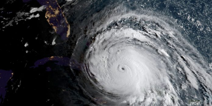
jaipur. ‘गज’ तूफान पश्चिम-मध्य और पूर्व-मध्य एवं दक्षिण बंगाल की खाड़ी के पश्चिम-उत्तर पश्चिमी दिशा में बढ़ रहा है। पिछले 6 घंटे के दौरान उसकी गति 10 किलोमीटर प्रति घंटा रही है। वह 14 नवम्बर 2018 को 11:30 बजे सुबह वह दक्षिण-पूर्व और पश्चिम-मध्य एवं दक्षिण बंगाल की खाड़ी पर मौजूद रहा है। उसकी स्थिति अक्षांश 12.8 डिग्री उत्तर और देशांतर 84.8 डिग्री पूर्व पर है। वह चेन्नई से लगभग 490 किलोमीटर पूर्व तथा नागपट्टिनम (तमिलनाडु) से लगभग 580 किलोमीटर उत्तर-पूर्व में स्थित है। आशंका है कि वह पश्चिम—दक्षिण पश्चिम दिशा में बढ़ेगा और अगले 12 घंटों में वह खतरनाक स्थिति में पहुंच सकता है। पश्चिम-दक्षिण पश्चिम दिशा में बढ़ते हुए 15 नवंबर को उसके धीरे-धीरे कमजोर पड़ने की संभावना है। इसी दौरान शाम तक वह पम्बन तथा कुडालोर के बीच तमिलनाडु के तट को पार कर जाएगा। तूफानी हवाएं 80-90 किलोमीटर प्रति घंटा की रफ्तार से चलेंगी और उनकी रफ्तार 100 किलोमीटर प्रति घंटा तक पहुंचने की संभावना है।
15 और 16 नवंबर, 2018 के लिए तमिलनाडु और पुद्दुचेरी में भारी वर्षा की चेतावनी दी गई है। 15 और 16 नवम्बर 2018 को दक्षिण तटीय आंध्र प्रदेश में कई स्थानों पर भारी वर्षा होगी। इसी तरह 15 नवंबर को रायलसीमा के कई स्थानों में भारी वर्षा होगी। केरल में 15 और 16 नवंबर को कई स्थानों पर भारी और छिटपुट स्थानों पर अत्यंत वर्षा होगी।
पश्चिम-मध्य और पूर्व-मध्य एवं दक्षिण बंगाल की खाड़ी में 70-80 किलोमीटर प्रतिघंटा के रफ्तार से आंधी की स्थिति बनी हुई है, जिसकी रफ्तार 90 किलोमीटर प्रति घंटा तक पहुंच सकती है। 14 नवंबर, 2018 की शाम से दक्षिण-पश्चिम एवं पड़ोस के पश्चिम-मध्य एंव दक्षिण पूर्व बंगाल की खाड़ी में आंधी की गति 90-100 किलोमीटर प्रति घंटा रहने की आशंका है, जो 14 नवम्बर 2018 की शाम को बढ़कर 110 किलोमीटर प्रति घंटा हो सकती है।
तमिलनाडु तथा पुद्दुचेरी के तटों पर तथा दक्षिण आंध्र प्रदेश के तटों पर 14 नवंबर की शाम को आंधी की गति 45 से 55 किलोमीटर प्रति घंटा रहेगी, जो 65 किलोमीटर प्रति घंटा तक बढ़ सकती है। तमिलनाडु और पुद्दुचेरी के तटों के निकट 15 नवंबर की सुबह से इसकी रफ्तार 80 से 90 किलोमीटर तक रहेगी, जो बढ़कर 100 किलोमीटर प्रति घंटा तक हो सकती है।
तमिलनाडु के अंदरूनी इलाकों, तटीय केरल, दक्षिण-पूर्व अरब सागर, मन्नार की खाड़ी और पाक स्ट्रेट में 16 नवंबर को तेज हवा चलेगी, जिसकी रफ्तार 30 से 40 किलोमीटर प्रति घंटा हो सकती है। 17 नवम्बर को आंधी की रफ्तार 50 किलोमीटर प्रतिघंटा हो सकती है तथा दक्षिण-पूर्व अरब सागर के साथ-साथ तटीय केरल के इसकी चपेट में आने की संभावना है।
आशंका है कि तमिलनाडु के नागपट्टिनम, तंजावुर, पुदुक्कोटई और रामनाथपुरम जिलों तथा पुद्दुचेरी के कराइकल जिले में एक मीटर ऊंची लहरें उठ सकती हैं और यहां के निचले इलाकों में ज्वार आने की संभावना है।
इसके कारण झोपड़ियों, फूस के घरों और छतों को नुकसान पहुंच सकता है। बिजली और टेलीफोन लाइनों को भी क्षति हो सकती है। तेज हवा के कारण घर की छतें और छतों पर लगाई जाने वाली इस्पात की चादरें उड़ सकती हैं। कच्ची सड़कों को भारी और पक्की सड़कों को मामूली नुकसान हो सकता है। तेज हवा के कारण पेड़ों के शाखें टूट सकती हैं और सड़कों के किनारे लगे पेड़ उखड़ सकते हैं। धान, केले, पपीते के पेड़ों और बागों को नुकसान पहुंच सकता है।
चेतावनी दी जाती है कि 15 नवंबर को तमिलनाडु एवं पुद्दुचेरी तथा पड़ोसी दक्षिण आंध्र प्रदेश के तटों पर मछली पकड़ने की गतिविधियां रोक दी जाएं। मछुआरों को सलाह दी जाती है कि 14 नवंबर को वे दक्षिण एवं मध्य बंगाल की खाड़ी में समुद्र में न जाएं। मछुआरों को 15 नवंबर को दक्षिण–पश्चिम एवं पड़ोसी पश्चिम-मध्य बंगाल की खाड़ी में समुद्र में न जाने की सलाह दी जाती है। जो मछुआरे इस समय गहरे समुद्र में हैं उन्हें तटों पर वापस लौटने की सलाह दी जाती है। उसी तरह तट के निकट झोपड़ियों में रहने वाले लोगों को सुरक्षित स्थानों पर जाने की सलाह दी जाती है। प्रभावित क्षेत्रों के अन्य लोगों को घरों से बाहर न निकलने की सलाह दी जाती है।
































